| ID # | 935579 |
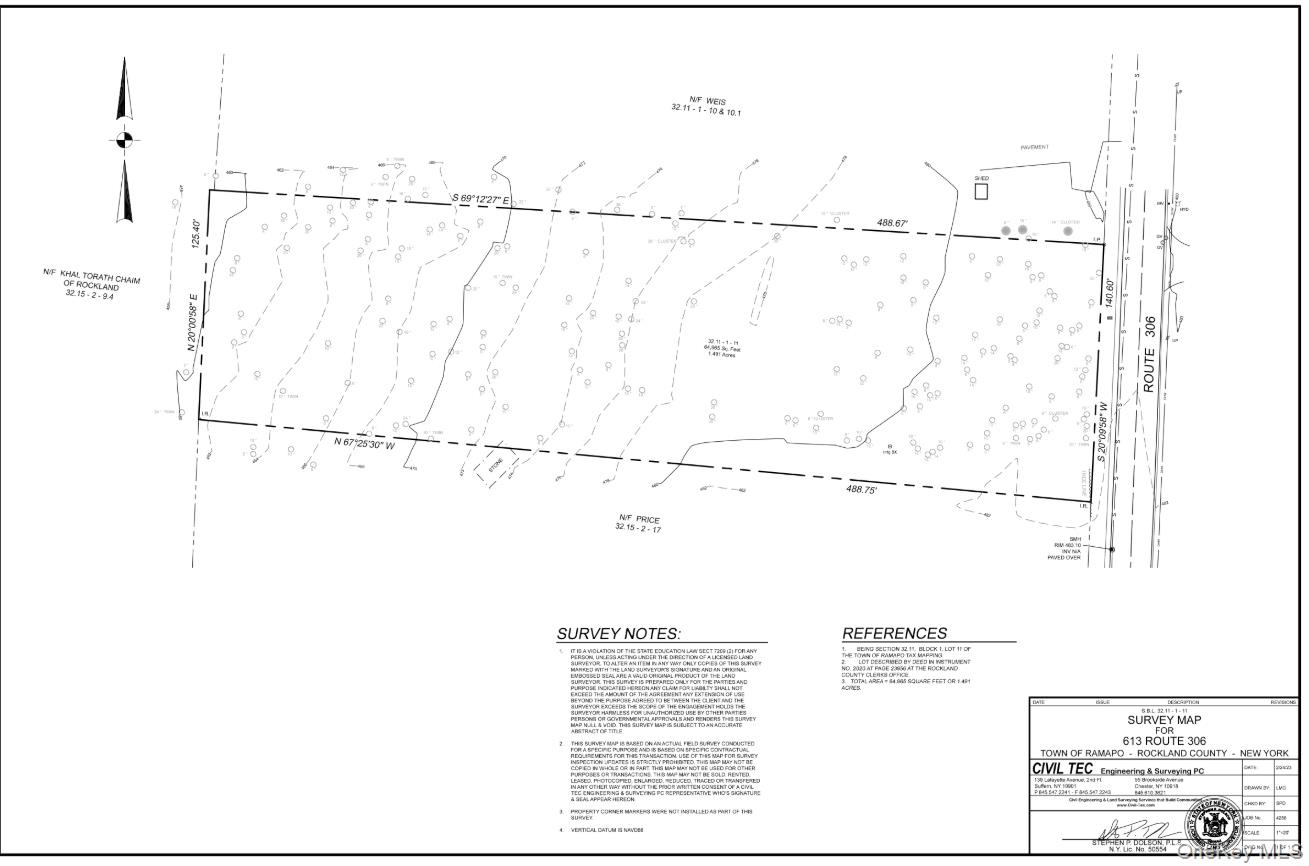
| Chi tiết bất động sản | ngoại thất: 1.5 mẫu đất (DOM): 6 days |
| Thuế (hàng năm) | $8,734 |
![]() |
WOW! Lô đất phẳng rộng 1,5 mẫu ở thị trấn Ramapo! Nằm giữa những ngôi nhà cao cấp và gần nhiều khu vực trường học vừa được phê duyệt, vị trí này tràn đầy tiềm năng. Hoàn hảo cho việc xây dựng tùy chỉnh, phát triển trong tương lai, hoặc giữ dài hạn chiến lược. Cơ hội vô tận ở trung tâm Ramapo, đừng bỏ lỡ viên ngọc đầu tư hiếm có này!
WOW! Prime 1.5-Acre Flat Lot in the Town of Ramapo! Surrounded by upscale homes and positioned near multiple newly approved school sites, this location is exploding with potential. Perfect for custom building, future development, or a strategic long-term hold. Endless opportunities in the heart of Ramapo, don’t miss this rare investment gem! © 2025 OneKey™ MLS, LLC







