| MLS # | 914078 |
| Thuế (hàng năm) | $13,534 |
| Loại nhiên liệu | Khí ga |
| Loại sưởi | Nước nóng |
| Điều hòa không khí | Điều hòa trung tâm |
| Tàu hỏa | 1.3 dặm: "Huntington" |
| 2.6 dặm: "Cold Spring Harbor" | |
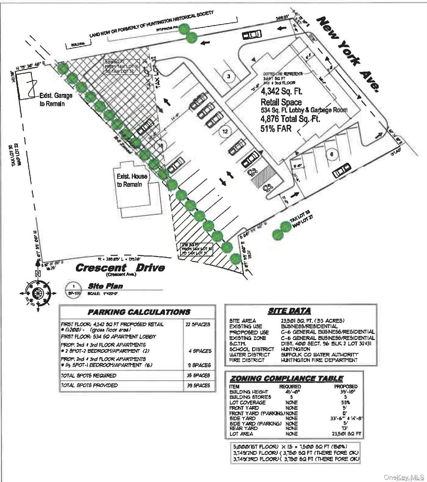
![]() |
Giá này chỉ bao gồm 431 NY Ave. Nó cũng có sẵn cùng với 17 Crescent Drive với giá $2,699,000. Tổng diện tích của 2 lô đất là 1,06. Bao gồm một ngôi nhà hợp pháp cho 2 gia đình nằm trên .5 mẫu đất được phân vùng R5 & một phần của C6 và một cửa hàng trên .56 mẫu đất được phân vùng C6 với một phần thuộc R5. Việc mua bán đi kèm với Kế hoạch sơ bộ để xây dựng 2,900 SF không gian thương mại với 6 căn hộ trên lô 431 NY Ave trong khi vẫn giữ được 2 gia đình hợp pháp. Vui lòng xem tệp đính kèm để biết Khảo sát, Hình ảnh Trên Không, Kế hoạch Bán Lẻ, Sơ đồ Căn Hộ cho Tầng 2 & Tầng 3 và Hình ảnh Bên Ngoài.
Read the English version or choose another language
This information is not verified for authenticity or accuracy and is not guaranteed and may not reflect all real estate activity in the market. Listing courtesy of Signature Premier Properties © 2026







